Myfactory Online-Hilfe

Definition

Hier bestimmen Sie den wesentlichen Aufbau Ihrer Liquiditätsplanung und stellen aus den angebotenen Informationsquellen Ihre ganz persönliche Planung zusammen.

Register Grundlagen

Definition 0

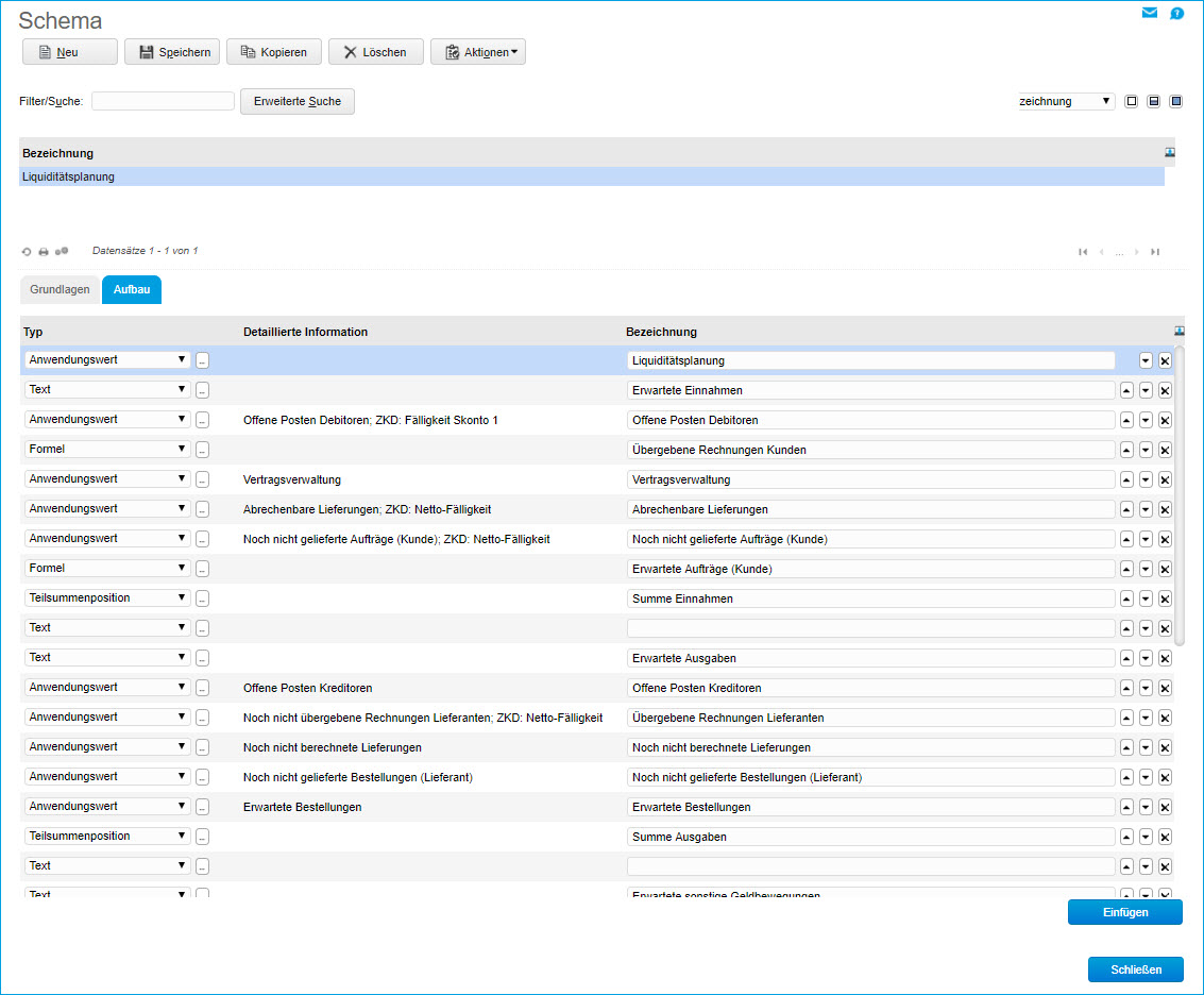
Schema

Tragen Sie hier den Name Ihrer Planung ein. Über diesen Namen wählen Sie das Schema in den entsprechenden Dialogen aus.

Zusatztext

Der Zusatztext ermöglicht Ihnen eine ausführlich Beschreibung der Planung, z. B. für welchen Zweck Sie diese Planung erstellt haben, welche angenommenen Werte dort berücksichtigt wurden, etc.

Register Aufbau

In diesem Register bestimmen Sie den Aufbau Ihrer Planung, also welche Werte sollen angezeigt werden. Der Aufbau bietet Ihnen die folgenden Spalten:

Definition 1

Typ

Hier wählen Sie den gewünschten Definitionswert aus, siehe hierzu den Absatz "Werteauswahl".

Detaillierte Information

Die Beschreibung des gewählten Baustein.

Bezeichnung

In dieses Feld können Sie eine eigene Bezeichnung für diesen Wert eintragen. Diese Bezeichnung stellt die Zeilenbeschriftung in der Auswertung dar.

Symbole für Verschieben und Löschen

Über die Pfeilsymbole können Sie die jeweilige Zeile nach unten oder oben verschieben, über die X-Schaltfläche löschen Sie die aktuelle Zeile aus Ihrem Aufbau.

Werteauswahl

In der Spalte "Typ" wählen Sie den gewünschten Definitionswert aus, dieser kann aus den folgenden Bausteinen gewählt werden:

Definition 2